売買 売地 - 東松山町 売地
オススメ
- 販売価格
- 780万円
- 間取り・築年数
- その他諸経費
- 住所・交通・学区
-
瀬戸市エリア
愛知県 瀬戸市東松山町 売地
学区:水南小学校・南山中学校
名鉄瀬戸線 新瀬戸駅 徒歩13分
物件ID:2079
上水道
下水道
電気
ガス(プロパン)
- 地目
- 宅地
- 地勢
- 傾斜地
- 都市計画
- 市街化区域
- 取引態様
- 専属専任
- 現況
- 上物有り 解体更地渡し
- 用途地域
- 1種低層
- 引き渡し
- 相談
- 最適用途
- 宅地用地
- 土地権利
- 所有権
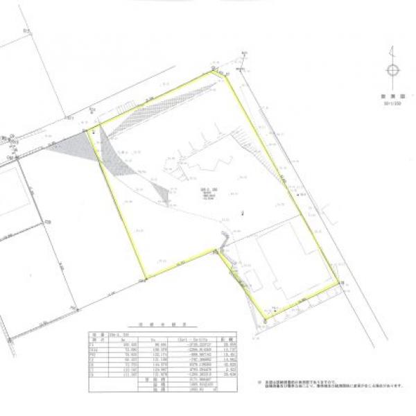
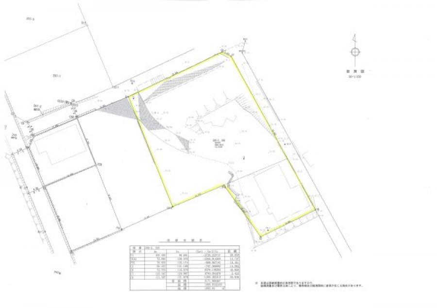
- 土地面積
- 1073.00m² (324.58坪)
- 建ぺい率
- 60%
- 容積率
- 150%
- 接道状況
- 北側/公道
980万円から780万円に値下げしました。約324坪の広大な敷地で眺望良し!
新瀬戸駅から徒歩約13分。土地の入口が狭いですが、小型車は通行可。
広大な敷地のお土地、傾斜地のお土地ですが見晴らしが最高です。
入口が狭いです。
駅前にバローもあり、近隣には病院・コンビニ・銀行便利なエリアです。
人気の水南小学校がすぐ近くにあります。
◆不動産のことなら安心と信頼のトリトン住宅販売にお任せくださいませ!
広大な敷地のお土地、傾斜地のお土地ですが見晴らしが最高です。
入口が狭いです。
駅前にバローもあり、近隣には病院・コンビニ・銀行便利なエリアです。
人気の水南小学校がすぐ近くにあります。
◆不動産のことなら安心と信頼のトリトン住宅販売にお任せくださいませ!





