売買 売地 - 上水野町 売地
オススメ
- 販売価格
- 700万円
- 間取り・築年数
- その他諸経費
- 住所・交通・学区
-
瀬戸市エリア
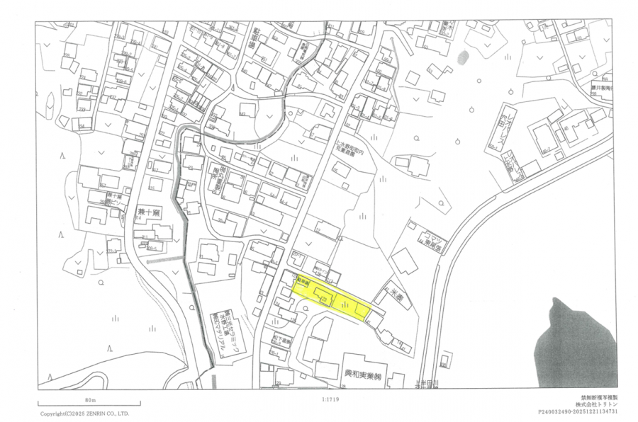
愛知県 瀬戸市上水野町 売地
学区:水野小学校・水野中学校
愛知環状鉄道 中水野駅 徒歩26分
物件ID:2288
上水道
電気
- 地目
- 宅地
- 都市計画
- 市街化区域
- 取引態様
- 専属専任
- 現況
- 上物有
- 用途地域
- 準工業
- 引き渡し
- 相談
- 最適用途
- 宅地用地
- 土地権利
- 所有権
- 土地面積
- 1101.16m² (333.1坪)
- 建ぺい率
- 60%
- 容積率
- 200%
- 接道状況
- 北側/公道
- 間口
- 48m
- 道路幅員
- 北側/3.1m
上水野の売地です
本物件は、でこぼこしていたり、崖がある為、この価格で提供しております。気になる方は、現地をご確認ください。
山林749㎡を含みます。
◆不動産のことなら安心と信頼のトリトン住宅販売にお任せくださいませ
山林749㎡を含みます。
◆不動産のことなら安心と信頼のトリトン住宅販売にお任せくださいませ





